Проект планировки территории власти вынесли на общественное слушание.
![]()
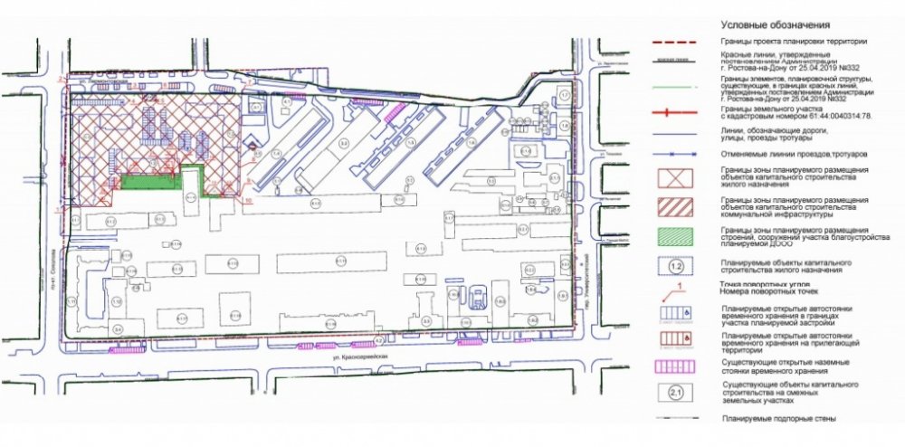
Речь идет об участке в границах: Лермонтовская –Университетский –Красноармейская. Информация об этом обнародована на портале «Активный ростовчанин».
На участке власти намерены построить два многоквартирных жилых дома общей площадью 82,5 тысяч квадратных метров. Этажность одного дома будет варьироваться от 11 до 25 этажей, второго от 13 до26 этажей. По подсчетам экспертов проживать в домах будут как минимум 1322 человек. Вблизи домов будет построен детский садик, также предусмотрена и парковка.
![]()
Предложения и замечания ростовчане смогут выразить в период с 20.08.2020 по 03.09.2020 года.
Застройщиком выступает компания СК10 которая приобрела этот участок в декабре 2018 года. Его стоимость составила 467 млн рублей.





